

Falke Immobilien- und Beratungszentrum e.K.
Herr Zekai Sahin
+49 ···
Nr. anzeigenPreise & Kosten
Provision für Käufer
Provision 6,25 % inkl. 19% MwSt
Lage
Das Grundstück befindet sich in ruhiger Wohnlage von Lauenburg zwischen: Die Umgebung ist geprägt von Einfamilienhäusern und kleinen Wohnanlagen. In unmittelbarer Nähe befinden sich: Einkaufsmöglichkeiten
Schulen
Kindergärten
Ärzte
Apotheken
Bahnhof Lauenburg
Elbe und historische Altstadt Hamburg ist...
Die Immobilie
Zu diesem Angebot wurden vom Anbieter keine weiteren Daten hinterlegt. Für weitere Informationen bitte den Anbieter kontaktieren.
Nach Informationen fragenEnergie & Heizung
Warum sehe ich diese Anzeige? – Du siehst diese Anzeige basierend auf Ihrer Navigation auf unserer Website und den Suchkriterien, die du verwendet hast.
Energieausweis: für diesen Gebäudetyp nicht notwendig
Details
Objektbeschreibung
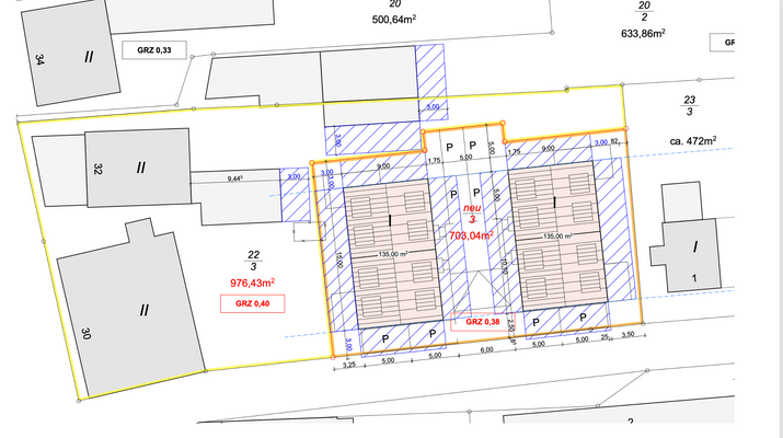
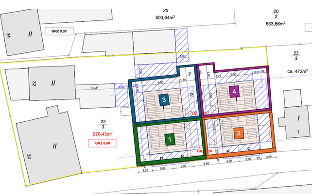
Grundstük 1, Verkaufspreis 113.750 €
Grundstük 2, Verkaufspreis 113.750 €
Grundstük 3, Verkaufspreis 113.750 €
Grundstük 4, Verkaufspreis 113.750€
Das Grundstück befindet sich in einer ruhigen und gewachsenen Wohnlage von Lauenburg/Elbe. Die Umgebung ist geprägt von einer harmonischen Bebauung aus...
Ausstattung
Sobald alle vier Parteien bzw. Grundstücke reserviert sind, übernehmen wir als Falke Immobilien- und Beratungszentrum die vollständige Koordination des Projekts.
Hierzu zählen insbesondere die Abstimmung zwischen Bauträger, Baufinanzierungsberatung sowie die Organisation und Zusammenführung aller individuellen Wünsche und...
Anbieter der Immobilie
Falke Immobilien- und Beratungszentrum e.K.
Küstersweg 20c, 21079 Harburg

Online-ID: 2pueg54
Referenznummer: 11 Lauenburg
Finde Angebote wie dieses
Hier geht es zu unserem Impressum, den Allgemeinen Geschäftsbedingungen, den Hinweisen zum Datenschutz und nutzungsbasierter Online-Werbung.