
Dolski & Partner Immobilien
Herr Bernd Dolski
004 ···
Nr. anzeigenPreise & Kosten
Provision für Käufer
4,78 % Maklerprovision
Lage
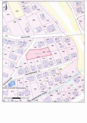
Das Grundstück befindet sich in einem Ruhigen Wohngebiet in Altenbeken in der Schmiedestraße.
Sonniges Hanggrundstück mit schönem Fernblick in erholsamer Lage.
In unmittelbarer Nähe finden sich diverse Einkaufsmöglichkeiten, Schulen und öffentliche Verkehrsanbindungen, die den Alltag erleichtern. Eine super...
Das Grundstück
Details
Objektbeschreibung
In Ruhiger Lage von Altenbeken haben Sie die seltene Möglichkeit, dieses außergewöhnliche Baugrundstück mit ca. 1.121 m² Größe zu erwerben.
Das Grundstück ist erschlossen! Eine großartige Gelegenheit für private Bauherren, Bauträger und Investoren!
Die Bebauung richtet sich nach §?34 BauGB...
Ausstattung
Grd: 1121 m²
§?34 BauGB (Nachbarschaftsbebauung)
Hanglege, Südausrichtung
Anbieter der Immobilie
Dolski & Partner Immobilien
Mühlentrift 5, 33106 Paderborn
Online-ID: 2pu9d55
Referenznummer: DI-BD-11584
Finde Angebote wie dieses
Hier geht es zu unserem Impressum, den Allgemeinen Geschäftsbedingungen, den Hinweisen zum Datenschutz und nutzungsbasierter Online-Werbung.