Raiffeisen-Volksbank Ebersberg eG

Frau Stefanie Eckenweber

Planen Sie jetzt Ihr Eigenheim: Sonniges Baugrundstück in Wohngebiet von Ottobrunn

€ 930.000
Kaufpreis
467 m²
Grundstücksfl. ca.

Der Anbieter dieses Objekts hat gegenüber der AVIV Germany GmbH als Betreiber dieses Online-Marktplatzes erklärt, nicht als Unternehmer im Sinne des § 1 KSchG zu handeln. Die im Verbraucherschutzrecht der Union verankerten Verbraucherrechte (insbesondere Informationspflichten und Rücktritts- bzw. Widerrufsrechte) finden auf den Vertrag zwischen dem Anbieter des Objekts und Ihnen (dem Interessenten) keine Anwendung.

Gewerblicher Anbieter

Der Anbieter dieses Objekts hat gegenüber der AVIV Germany GmbH als Betreiber dieses Online-Marktplatzes erklärt, als Unternehmer im Sinne des § 1 KSchG zu handeln.

AdresseStraße nicht freigegeben
85521 Ottobrunn 
Auf Karte ansehen

Preise & Kosten

Kaufpreis € 930.000

Provision für Käufer

2 % zzgl. MwSt.

Lage

Als eigenständige Gemeinde im grünen Südosten von München bietet Ottobrunn mit ca 21.000 Einwohnern ein wundervolles Refugium für Familien und all diejenigen, die dem Trubel der Stadt entfliehen wollen, aber dennoch nicht auf all die Annehmlichkeiten einer zentralen Lage verzichten möchten.

Das Grundstück liegt in...

Mehr anzeigen

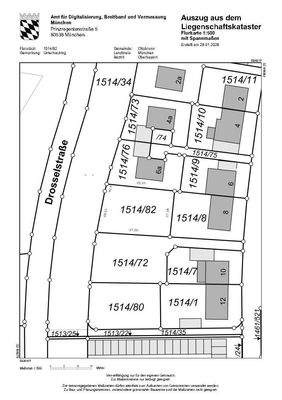
Das Grundstück

  • bebaubar nach Bebauungsplan
  • unerschlossen

Details

Objektbeschreibung

Schönes Baugrundstück in sonniger Lage von Ottobrunn. Das angebotene Grundstück befindet sich in zentraler Ortsrandlage.
Die Nachbarschaft ist geprägt von viel Grün, gepflegten Ein- und Mehrfamilienhäusern, was für ein angenehmes Wohnumfeld sorgt.

Das real geteilte Grundstück ist ideal für die Errichtung eines...

Mehr anzeigen

Weitere Informationen

Stichworte
Bundesland: Bayern

Anbieter der Immobilie

Partner

Raiffeisen-Volksbank Ebersberg eG

im Durchschnitt  4,60  Sterne
(bei 4 Bewertungen)

Marktplatz 1 , 85567 Grafing bei München

user

Frau Stefanie Eckenweber

Dein Ansprechpartner

Anbieter-Website Anbieter-Profil Anbieter-Impressum

Online-ID: 2pqv752

Referenznummer: 0380

Finde Angebote wie dieses

imageimageimage

Hier geht es zu unserem Impressum, den Allgemeinen Geschäftsbedingungen, den Hinweisen zum Datenschutz und nutzungsbasierter Online-Werbung.