Madeleine Preuß-Wendt Immobilien

Frau Madeleine Preuß-Wendt

Baugrundstück in Biesdorf - Grüne Aue. Bauträgerfrei.

€ 380.000
Kaufpreis
504 m²
Grundstücksfl. ca.

Der Anbieter dieses Objekts hat gegenüber der AVIV Germany GmbH als Betreiber dieses Online-Marktplatzes erklärt, nicht als Unternehmer im Sinne des § 1 KSchG zu handeln. Die im Verbraucherschutzrecht der Union verankerten Verbraucherrechte (insbesondere Informationspflichten und Rücktritts- bzw. Widerrufsrechte) finden auf den Vertrag zwischen dem Anbieter des Objekts und Ihnen (dem Interessenten) keine Anwendung.

Gewerblicher Anbieter

Der Anbieter dieses Objekts hat gegenüber der AVIV Germany GmbH als Betreiber dieses Online-Marktplatzes erklärt, als Unternehmer im Sinne des § 1 KSchG zu handeln.

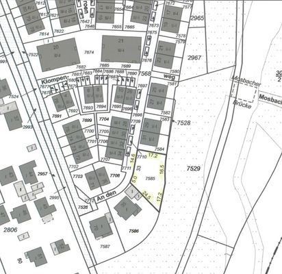
AdresseAn den Grachten 33
12683 Berlin 
(KGA Neues Leben)
Auf Karte ansehen

Preise & Kosten

Kaufpreis € 380.000

Provision für Käufer

7,14%

Das Grundstück

  • bebaubar nach Bebauungsplan, Baugenehmigung vorhanden
  • voll erschlossen
  • Erschließungsumfang: Strom, Telekommunikation, Wasser

Details

Objektbeschreibung

Angeboten wird das letzte Baugrundstück in 12683 Berlin, An den Grachten 33.

Weitere Informationen

Sonstiges
12683 Berlin, An den Grachten 33.

Anbieter der Immobilie

Partner

Madeleine Preuß-Wendt Immobilien

Alfred-Dengler-Straße 8, 16225 Eberswalde

user

Frau Madeleine Preuß-Wendt

Dein Ansprechpartner

Anbieter-Website Anbieter-Profil Anbieter-Impressum

Online-ID: 2pnw956

Referenznummer: 100320261

Finde Angebote wie dieses

imageimageimage

Hier geht es zu unserem Impressum, den Allgemeinen Geschäftsbedingungen, den Hinweisen zum Datenschutz und nutzungsbasierter Online-Werbung.