
PlanetHome Group GmbH
George Gluch
+49 ···
Nr. anzeigenPreise & Kosten
Provision für Käufer
3,57 % inkl. MwSt.
Lage
Das Grundstück befindet sich in einer ruhigen und gewachsenen Wohngegend in Kochel am See - einem der reizvollsten Orte Oberbayerns. Nur wenige Gehminuten vom traumhaften Kochelsee entfernt, bietet diese Lage eine außergewöhnliche Verbindung aus Natur, Erholung und Lebensqualität.
Kochel am See ist bekannt für seine...
Die Immobilie
Zu diesem Angebot wurden vom Anbieter keine weiteren Daten hinterlegt. Für weitere Informationen bitte den Anbieter kontaktieren.
Nach Informationen fragenDetails
Objektbeschreibung
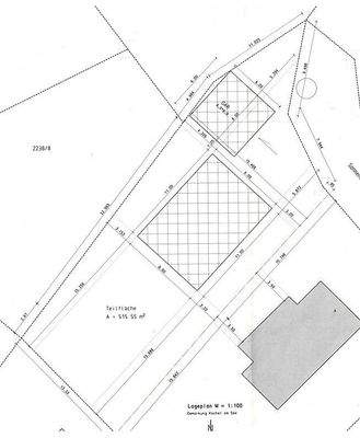
Bei dem ca. 516 m² großen Grundstück handelt es sich um ideales Bauland in einer gewachsenen Umgebung mitten in Kochel. Das Grundstück wird am 08.04.2026 aus einem bestehenden Grundstück endvermessen und wird nach Realteilung ein eigenes Grundbuch erhalten.
Die Nachbarschaft ist von traditioneller Architektur und großen...
Weitere Informationen
Stichworte
Gesamtfläche: 516,00 m²
Anbieter der Immobilie
PlanetHome Group GmbH
Feringastraße 11, 85774 Unterföhring
Online-ID: 2pnpr56
Referenznummer: 740075
Finde Angebote wie dieses
Hier geht es zu unserem Impressum, den Allgemeinen Geschäftsbedingungen, den Hinweisen zum Datenschutz und nutzungsbasierter Online-Werbung.