
ohne-makler.net - Immobilien selbst vermarkten
Angebot vom Eigentümer
017 ···
Nr. anzeigenPreise & Kosten
Provision für Käufer
provisionsfrei
Lage
Haueneberstein ist ein charmanter Stadtteil in Baden-Baden mit einer angenehmen Atmosphäre und moderater Bevölkerungsdichte. Die öffentlichen Verkehrsmittel sind gut erreichbar, mit den Buslinien 205 und 216, die regelmäßig verkehren. Das Viertel ist geprägt von Einfamilien- und Reihenhäusern und gilt als sichere...
Das Haus
Kategorie
Reihenmittelhaus
Baujahr
2026
Bezug
nach Absprache
Energie & Heizung
Warum sehe ich diese Anzeige? – Du siehst diese Anzeige basierend auf Ihrer Navigation auf unserer Website und den Suchkriterien, die du verwendet hast.
Energieausweistyp
Bedarfsausweis
Gebäudetyp
Wohngebäude
Effizienzklasse
A+
Endenergiebedarf
7,00 kWh/(m²·a)
Weitere Energiedaten
Heizungsart
Fußbodenheizung, Luft-/Wasser-Wärmepumpe
Details
Objektbeschreibung
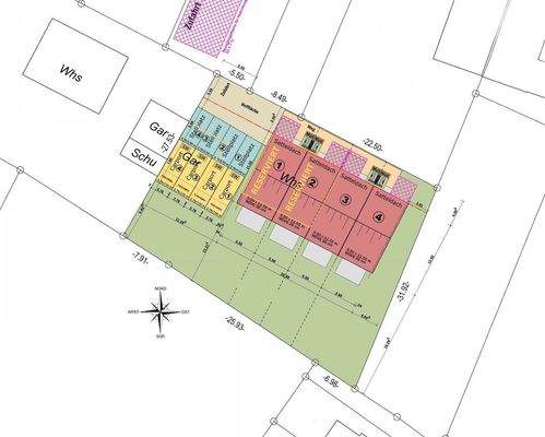
Dieses charmante Reihenhaus mit ca. 131 m² Wohnfläche und einem Grundstück von ca. 216 m² (+17 m² Wegeanteil) entsteht in schöner Lage von Baden-Baden Haueneberstein. Das Haus verfügt über 5 Zimmer und bietet ausreichend Platz für Familien. Die vier Reihenhäuser werden schlüsselfertig in Massivbauweise inklusive Keller erbaut...
Ausstattung
Terrasse, Garten, Keller, Vollbad, Duschbad, Gäste-WC, Parkett, Fliesen
Preisinformation
1 Carportplatz
1 Stellplatz
Weitere Informationen
Sonstiges
Heizungsart: Fußbodenheizung
Energieträger: Luft-/Wasserwärme
Es fällt keine Käuferprovision an. Gerne zeigen wir Ihnen das Grundstück vor Ort und beantworten Ihre Fragen persönlich.
Makleranfragen nicht erwünscht. Nach § 7 UWG sind unaufgeforderte Kontaktaufnahmen durch Makler ohne ausdrückliche...
Anbieter der Immobilie
ohne-makler.net - Immobilien selbst vermarkten
Humboldtstr. 25 A, 21509 Glinde
Online-ID: 2plag57
Referenznummer: 442918
Finde Angebote wie dieses
Hier geht es zu unserem Impressum, den Allgemeinen Geschäftsbedingungen, den Hinweisen zum Datenschutz und nutzungsbasierter Online-Werbung.