
ImmoNetzwerk GmbH
Herr Klaus Lotz
017 ···
Nr. anzeigenPreise & Kosten
Provision für Käufer
3.57% (inkl. MwSt.) inkl. MwSt.
Lage
Die Gemeinde Odenthal mit seiner ländlichen Umgebung und hohen Wohn- und Lebensqualität gehört zum Rheinisch Bergischen Kreis. Der charmante Ortsteil Blecher mit seiner Höhenlage grenzt an die Städte Leverkusen und Burscheid. Das große Baugrundstück liegt in einer ruhigen Anliegerstraße in einer guten Wohngegend.
Im...
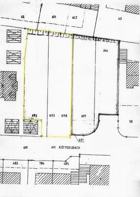
Das Grundstück
Details
Objektbeschreibung
Das große Baugrundstück befindet sich in einer guten und familienfreundlichen Wohnlage von Odenthal-Blecher. Das schöne Grundstück mit leichter Hanglage und umliegender Natur hat eine gesamte Grundstücksfläche von etwa 701 m².
Die rechteckige Fläche bietet ideale Voraussetzungen für den Bau eines freistehenden Ein-...
Weitere Informationen
Sonstiges
Das Baugrundstück mit seinen vielseitigen Gestaltungsmöglichkeiten ist besonders für Familien oder als Mehrgenerationenhaus geeignet. Des Weiteren können wir Ihnen für die Neubauplanung einen seriösen Massivhausbau-Anbieter für individuelle und nachhaltige Architektenhäuser nennen.
Die Käuferprovision...
Anbieter der Immobilie
ImmoNetzwerk GmbH
Giesebrechtstraße 10, 10629 Berlin
Online-ID: 2pgdr56
Referenznummer: KL2274
Finde Angebote wie dieses
Hier geht es zu unserem Impressum, den Allgemeinen Geschäftsbedingungen, den Hinweisen zum Datenschutz und nutzungsbasierter Online-Werbung.