
Remax Konstanz
Frau Katja Hefelmann
004 ···
Nr. anzeigenPreise & Kosten
Provision für Käufer
Provisionsfrei
Lage
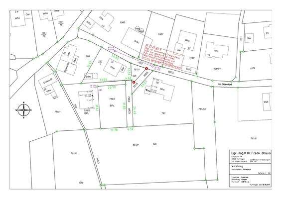
Das attraktive Grundstück befindet sich in Wangen, einem
gefragten Ortsteil der Gemeinde Öhningen im Landkreis Konstanz. Es liegt in
begehrter Höhenlage und vereint eine gute Infrastruktur mit hoher
Lebensqualität. Die attraktive Lage auf der Halbinsel Höri zählt zu den
besonders wertstabilen Wohn- und...
Die Immobilie
Zu diesem Angebot wurden vom Anbieter keine weiteren Daten hinterlegt. Für weitere Informationen bitte den Anbieter kontaktieren.
Nach Informationen fragenDetails
Objektbeschreibung
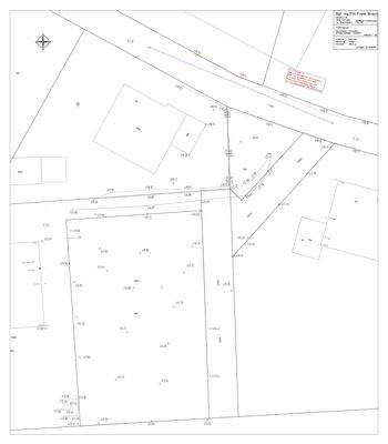
Das attraktive Baugrundstück mit einer Fläche von 647 m² befindet sich in gefragter Wohnlage auf der Halbinsel Höri (Gemeinde Öhningen, Ortsteil Wangen) und zählt zu den selten verfügbaren Bauflächen in dieser nachhaltig nachgefragten Bodenseeregion.
Die Bebaubarkeit erfolgt gemäß § 34 BauGB und orientiert sich an der...
Weitere Informationen
Sonstiges
Die Bebauung des Grundstücks richtet sich nach § 34 BauGB und hat sich in Art und Maß der Nutzung, Bauweise und Gebäudehöhe an der bestehenden Umgebungsbebauung zu orientieren. Die Nachbarschaft ist geprägt von freistehenden Wohnhäusern mit ein bis zwei Vollgeschossen und geneigten Dächern, sodass eine...
Anbieter der Immobilie
Remax Konstanz
Alter Wall 10, 78467 Konstanz
Online-ID: 2pfku54
Referenznummer: KH-02-26-285
Finde Angebote wie dieses
Hier geht es zu unserem Impressum, den Allgemeinen Geschäftsbedingungen, den Hinweisen zum Datenschutz und nutzungsbasierter Online-Werbung.