

Engel & Völkers - St. Peter-Ording
Frau Manuela Myer
048 ···
Nr. anzeigenPreise & Kosten
Provision für Käufer
Die Käufercourtage in Höhe von 3,57 % auf den Kaufpreis einschließlich gesetzlicher Umsatzsteuer ist bei notariellem Vertragsabschluss verdient und fällig.
Lage
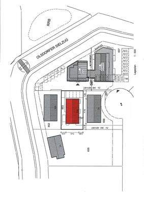
Das Grundstück befindet sich in einem gewachsenen Gebiet von St. Peter-Ording, das durch eine gelungene Mischung aus Wohn- und gewerblichen Nutzungen geprägt ist. Die Umgebung vereint ruhige Wohnstrukturen mit moderner Bebauung sowie kleineren Gewerbeeinheiten und bietet somit ein attraktives Umfeld für unterschiedlichste...
Das Grundstück
Energie & Heizung
Warum sehe ich diese Anzeige? – Du siehst diese Anzeige basierend auf Ihrer Navigation auf unserer Website und den Suchkriterien, die du verwendet hast.
Energieausweis: für diesen Gebäudetyp nicht notwendig
Details
Objektbeschreibung
Zum Verkauf steht ein ca. 449 m² großes Baugrundstück in einem ausgewiesenen Mischgebiet mit vielseitigen Entwicklungsmöglichkeiten.
Gemäß den planungsrechtlichen Vorgaben sind u. a. eine offene Bauweise, bis zu zwei Vollgeschosse sowie eine maximale Gebäudehöhe von ca. 11 m möglich. Die Grundflächenzahl (GRZ) liegt...
Weitere Informationen
Die Höhe der Bruttocourtage unterliegt einer Anpassung bei Steuersatzänderung. Die EuV Wohnen GmbH (Lizenznehmer der Engel & Völkers Residential GmbH) und ggf. deren Beauftragte erhalten einen unmittelbaren Zahlungsanspruch gegenüber dem Käufer (Vertrag zugunsten Dritter, § 328 BGB). Grunderwerbssteuer, Notar- und...
Anbieter der Immobilie

Online-ID: 2pcn853
Referenznummer: W-048Y2Q
Finde Angebote wie dieses
Hier geht es zu unserem Impressum, den Allgemeinen Geschäftsbedingungen, den Hinweisen zum Datenschutz und nutzungsbasierter Online-Werbung.