
MK Immobilien
Marcus Keller
084 ···
Nr. anzeigenPreise & Kosten
Provision für Käufer
3,57 %
Lage
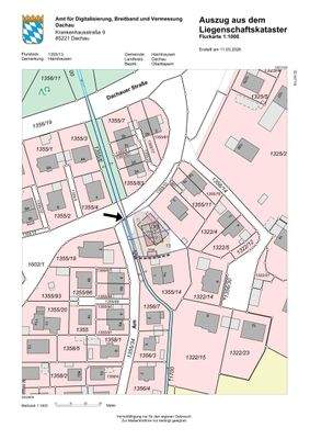
Das angebotene Grundstück befindet sich in ruhiger Wohnlage von Haimhausen in einem gewachsenen Umfeld mit angenehmem, naturnahem Charakter. Besonders hervorzuheben ist das Umfeld rund um den Saumgraben, dessen Grünzug die Lage zusätzlich aufwertet und für ein schönes, entspanntes Wohngefühl sorgt.
Haimhausen ist...
Das Grundstück
Details
Objektbeschreibung
Zum Verkauf steht ein neu entstehendes Baugrundstück mit ca. 410 m² in angenehmer und ruhiger Wohnlage von 85778 Haimhausen-Ottershausen. Die Gesamtfläche wird in zwei eigenständige Grundstücke aufgeteilt; angeboten wird die kleinere, Teilfläche mit vielseitigen Möglichkeiten für die Realisierung eines familienfreundlichen...
Ausstattung
Eckdaten:
Grundstücksfläche: ca. 410 m²
Bebaubarkeit: gemäß Bebauungsplan Doppelhaushälfte
Zulässige Grundfläche: ca. 75 m²
Gebäudegrundfläche: ca. 6,8 m x 11,00 m
Bauweise: I + D
Dachneigung: 42-48°
Wintergarten: zusätzlich bis ca. 7,5 m² möglich
Highlight: direkte Lage am Saumgraben mit ruhigem...
Weitere Informationen
Sonstiges
Sonstiges / Rechtlicher Hinweis:
Besichtigungen sind jederzeit nach vorheriger Abstimmung mit unserem Büro möglich.
Alle Angaben in diesem Exposé beruhen auf Informationen und Unterlagen des Verkäufers. Die Firma MK Immobilien übernimmt keine Gewähr für die Vollständigkeit, Richtigkeit und Aktualität...
Anbieter der Immobilie
Online-ID: 2pb5z55
Referenznummer: M5_DHH_N
Finde Angebote wie dieses
Hier geht es zu unserem Impressum, den Allgemeinen Geschäftsbedingungen, den Hinweisen zum Datenschutz und nutzungsbasierter Online-Werbung.