
ARU
Wilfried Gartner
021 ···
Nr. anzeigenPreise & Kosten
Provision für Käufer
Bitte beachte, das Angebot kann bei Vertragsabschluss die Zahlung einer Provision beinhalten. Weitere Informationen erhältst Du vom Anbieter.
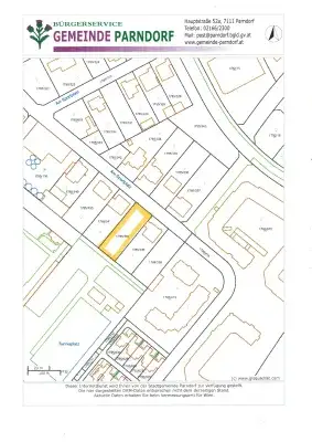
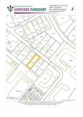
Lage
Parndorf ist eine charmante Stadt, die sich durch ihre hervorragende Anbindung
und die Nähe zu wichtigen Einrichtungen auszeichnet. Die Umgebung bietet
zahlreiche Freizeitmöglichkeiten, Einkaufsmöglichkeiten und eine gute
Infrastruktur. Genießen Sie die Vorteile des ländlichen Lebens, während Sie
gleichzeitig...
Die Immobilie
Zu diesem Angebot wurden vom Anbieter keine weiteren Daten hinterlegt. Für weitere Informationen bitte den Anbieter kontaktieren.
Nach Informationen fragenDetails
Objektbeschreibung
Entdecken Sie dieses großzügige Baugrundstück mit einer Fläche von 1123 qm, das
Ihnen vielfältige Möglichkeiten zur Verwirklichung Ihrer Wohnträume bietet. Das
Grundstück befindet sich in einer ruhigen und angenehmen Umgebung, ideal für
Familien oder als Investition. Die großzügige Fläche ermöglicht Ihnen...
Anbieter der Immobilie
ARU
Kircheggstraße 101, 8291 BURGAU
Online-ID: 2pabl57
Referenznummer: 480
Finde Angebote wie dieses
Günstige Immobilienfinanzierung einfach online berechnen
Persönliches Angebot berechnenWarum sehe ich diese Werbung? – Du siehst diese Werbung basierend auf Deiner Navigation auf unserer Website und der von Dir verwendeten Suchkriterien.
Diese Werbung wird bezahlt von durchblicker
Werbung melden
Hier geht es zu unserem Impressum, den Allgemeinen Geschäftsbedingungen, den Hinweisen zum Datenschutz und nutzungsbasierter Online-Werbung.