

Klessinger Immobilien
Herr Reinhart Klessinger
081 ···
Nr. anzeigenPreise & Kosten
Provision für Käufer
3,57% Käuferprovision inkl. MwSt.
Lage
Lage:
Die Lerchenstraße 19 befindet sich in 83052 Bruckmühl, einer Marktgemeinde im oberbayerischen Landkreis Rosenheim. Bruckmühl liegt malerisch im Mangfalltal, etwa 16 Kilometer westlich von Rosenheim.
Die Lerchenstraße ist eine ruhige Wohnstraße, die von Einfamilienhäusern und kleinen Mehrfamilienhäusern...
Das Grundstück
Details
Objektbeschreibung
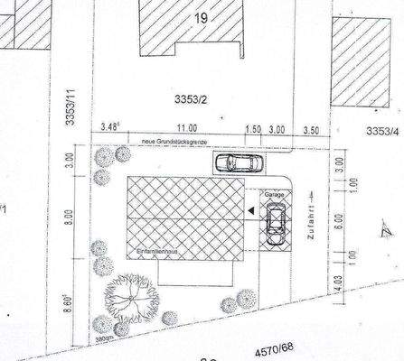
Zum Verkauf steht ein 380 m² großes Baugrundstück mit bereits genehmigtem Bauvorbescheid für ein Einfamilienhaus.
Die geplanten Maße betragen 8,0 x 11,0 Meter, mit zwei Vollgeschossen und einer Wandhöhe von 5,90 m. Zudem sind eine Garage und ein Außenstellplatz vorgesehen (siehe Plan).
Ein großer Vorteil dieses...
Anbieter der Immobilie

Online-ID: 2p95354
Referenznummer: 1781-10
Finde Angebote wie dieses
Hier geht es zu unserem Impressum, den Allgemeinen Geschäftsbedingungen, den Hinweisen zum Datenschutz und nutzungsbasierter Online-Werbung.