
ohne-makler.net - Immobilien selbst vermarkten
Privat vom Eigentümer
Kontaktiere den Anbieter schriftlich, es ist keine Telefonnummer hinterlegt.
Preise & Kosten
Provision für Käufer
provisionsfrei
Lage
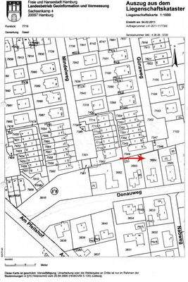
Das Grundstück liegt im Donauweg im Hamburger Stadtteil Sasel innerhalb einer ruhigen Einfamilienhaus-Siedlung (Pfeilshof). Der Donauweg ist eine Anliegerstraße ohne Durchgangsverkehr und bietet eine entspannte und familienfreundliche Wohnsituation.
In unmittelbarer Nähe befindet sich das Waldgebiet "Grüner Jäger" (ca...
Das Grundstück
Details
Objektbeschreibung
Das ca. 638 m² große Grundstück befindet sich in ruhiger Wohnlage im Hamburger Stadtteil Sasel innerhalb der gewachsenen Siedlungsstruktur Pfeilshof.
Das Grundstück weist eine vorteilhafte, nahezu rechteckige Geometrie mit vergleichsweise breiter Straßenfront auf und bietet damit gute Voraussetzungen für die Planung...
Weitere Informationen
Sonstiges
Der Verkauf erfolgt provisionsfrei direkt durch den Eigentümer.
Das Grundstück wird nach Auszug des derzeitigen Mieters frei ab dem 01.09.2026 übergeben.
Die Bebauung ist durch den Erwerber mit den zuständigen Behörden sowie unter Berücksichtigung der Vorgaben der Siedlung abzustimmen.
Das...
Anbieter der Immobilie
ohne-makler.net - Immobilien selbst vermarkten
Humboldtstr. 25 A, 21509 Glinde
Privat vom Eigentümer
Dein Ansprechpartner
Kontaktiere den Anbieter schriftlich, es ist keine Telefonnummer hinterlegt.
Online-ID: 2p3yh56
Referenznummer: 442554
Finde Angebote wie dieses
Hier geht es zu unserem Impressum, den Allgemeinen Geschäftsbedingungen, den Hinweisen zum Datenschutz und nutzungsbasierter Online-Werbung.