Gerhard Teichmann Immobilien

Herr Henry Wirth

Preissenkung!!! Zweifamilienhaus in Bungalow-Form in Dörverden nahe am Gemeinde-Kindergarten!

€ 175.000
Kaufpreis
210 m²
Wohnfläche ca.
k.A.
Zimmer
594 m²
Grundstücksfl. ca.

Der Anbieter dieses Objekts hat gegenüber der AVIV Germany GmbH als Betreiber dieses Online-Marktplatzes erklärt, nicht als Unternehmer im Sinne des § 1 KSchG zu handeln. Die im Verbraucherschutzrecht der Union verankerten Verbraucherrechte (insbesondere Informationspflichten und Rücktritts- bzw. Widerrufsrechte) finden auf den Vertrag zwischen dem Anbieter des Objekts und Ihnen (dem Interessenten) keine Anwendung.

Gewerblicher Anbieter

Der Anbieter dieses Objekts hat gegenüber der AVIV Germany GmbH als Betreiber dieses Online-Marktplatzes erklärt, als Unternehmer im Sinne des § 1 KSchG zu handeln.

AdresseStraße nicht freigegeben
27313 Dörverden 
Auf Karte ansehen

Preise & Kosten

Kaufpreis

Verhandlungsbasis

€ 175.000

Provision für Käufer

5% zuzüglich MwSt

Lage

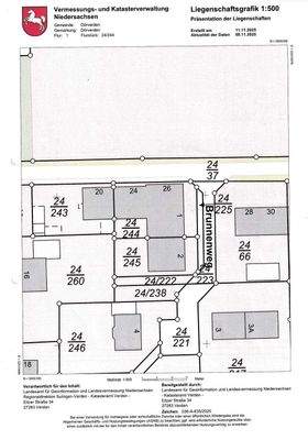
Dieses großzügige Wohnobjekt – Berliner Straße 24+26 sowie Brunnenweg 1 - befindet sich in einem reinen, ruhigen Wohngebiet von Dörverden; dort nahe am großen Kindergarten der Gemeinde. Der Ort Dörverden mit rd. 10.000 Einwohnern liegt direkt an der B 215 und an der Bahnstrecke Hannover-Bremen. Einkaufsmöglichkeiten und...

Mehr anzeigen

Das Haus

Derzeitige Nutzung

vermietet

  • 3 Stellplätze: Carport, Garage, Außen-Stellplatz

Details

Objektbeschreibung

Es handelt sich um ein großzügiges, einstöckiges Gesamt-Bungalowgebäude mit mit relativ flachem Walmdach und gestrichenen Außenwände. Kellergeschoß ist nicht vorhanden. Es handelt sich um 2 selbständige Wohneinheiten mit jew. gesondertem Außenzugang, und zwar Berliner Str. 24/26 und Brunnenweg 1. Die Wohnflächen betragen rd...

Mehr anzeigen

Weitere Informationen

Stichworte
Zustand: renovierungsbedürftig, sanierungsbedürftig

Anbieter der Immobilie

PartnerDiamond Partner

Gerhard Teichmann Immobilien

im Durchschnitt  5,00  Sterne
(bei 6 Bewertungen)

Dorfstraße 2, 27367 Ahausen

user

Herr Henry Wirth

Dein Ansprechpartner

Anbieter-Website Anbieter-Impressum

Online-ID: 2ny9x5m

Finde Angebote wie dieses

imageimageimage

Hier geht es zu unserem Impressum, den Allgemeinen Geschäftsbedingungen, den Hinweisen zum Datenschutz und nutzungsbasierter Online-Werbung.