
VON POLL IMMOBILIEN Shop Minden - Peter Hofmann
Frau Larissa Bomm
004 ···
Nr. anzeigenPreise & Kosten
Provision für Käufer
Käuferprovision beträgt 4,76 % (inkl. MwSt.) des beurkundeten Kaufpreises
Lage
Porta Westfalica ist eine Stadt mit rund 37.000 Einwohnern im Kreis Minden-Lübbecke.
Sie liegt im nordöstlichen Nordrhein-Westfalen, in der Region Ostwestfalen-Lippe zwischen Minden und Bielefeld; überwiegend östlich der Weser gelegen.
Die Stadt gehört zum landschaftlich attraktiven Weserbergland und bietet mit...
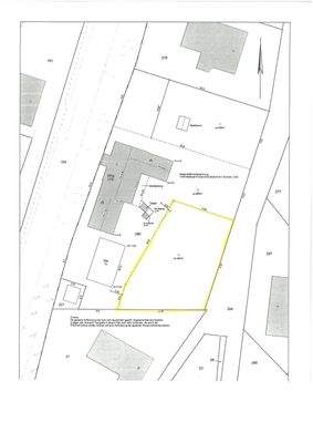
Das Grundstück
Details
Objektbeschreibung
Bauen Sie Ihr Traumhaus auf einem Baugrundstück in einer ruhigen Wohnlage mit guter Anbindung.
Eine positive Bauvoranfrage für die Bebauung mit einem Einfamilienhaus liegt vor.
Zum Verkauf steht ein erschlossenes Grundstück mit 494 m² Größe. Der Anschluss an die in der Straße vorhandenen Versorgungsleitungen zu...
Weitere Informationen
Sonstiges
GELDWÄSCHE: Als Immobilienmaklerunternehmen ist die von Poll Immobilien GmbH nach § 2 Abs. 1 Nr. 14 und § 11 Abs. 1, 2 Geldwäschegesetz (GwG) dazu verpflichtet, bei der Begründung einer Geschäftsbeziehung die Identität des Vertragspartners festzustellen und zu überprüfen, bzw. sobald ein ernsthaftes Interesse an...
Anbieter der Immobilie
VON POLL IMMOBILIEN Shop Minden - Peter Hofmann
Kampstraße 37, 32423 Minden
Online-ID: 2nxtq57
Referenznummer: 25 231 027
Finde Angebote wie dieses
Hier geht es zu unserem Impressum, den Allgemeinen Geschäftsbedingungen, den Hinweisen zum Datenschutz und nutzungsbasierter Online-Werbung.