
HausHirsch GmbH
Herr Thorsten Schöbernig
Kontaktiere den Anbieter schriftlich, es ist keine Telefonnummer hinterlegt.
Preise & Kosten
Provision für Käufer
4.76%
4,76%
Lage
Das Grundstück befindet sich in außergewöhnlich attraktiver Höhenlage im Kelkheimer Ortsteil Eppenhain, einem der begehrtesten Wohnstandorte im Taunus. Eppenhain ist offiziell Luftkurort, geprägt von frischer Höhenluft, weitläufiger Natur und hohem Erholungswert. Gleichzeitig gilt das Areal - trotz seiner besonderen...
Die Immobilie
Zu diesem Angebot wurden vom Anbieter keine weiteren Daten hinterlegt. Für weitere Informationen bitte den Anbieter kontaktieren.
Nach Informationen fragenDetails
Objektbeschreibung
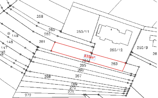
In exponierter Höhenlage des Taunus, im begehrten Kelkheimer Ortsteil Eppenhain - einem anerkannten Erholungs- und Luftkurort - bietet sich dieses Areal als seltene Gelegenheit für vorausschauende Investoren und Projektentwickler. Das aktuell angebotene Grundstück, eine Teilfläche des gesamten Grundstückes, umfasst eine...
Weitere Informationen
Stichworte
Bundesland: Hessen
Anbieter der Immobilie
Herr Thorsten Schöbernig
Dein Ansprechpartner
Kontaktiere den Anbieter schriftlich, es ist keine Telefonnummer hinterlegt.
Online-ID: 2nuzw5z
Referenznummer: HA2529942
Finde Angebote wie dieses
Hier geht es zu unserem Impressum, den Allgemeinen Geschäftsbedingungen, den Hinweisen zum Datenschutz und nutzungsbasierter Online-Werbung.