
Deutsche Strategie Beratung Pensionsmanagement GmbH
Herr Angelo Bold
017 ···
Nr. anzeigenPreise & Kosten
Provision für Käufer
Für den Kauf dieses Grundstücks fällt eine Maklerprovision in Höhe von 3,98 % des Kaufpreises inklusive der gesetzlichen Mehrwertsteuer an. Die Provision ist vom Käufer zu zahlen und wird mit Abschluss des notariellen Kaufvertrages fällig.
Lage
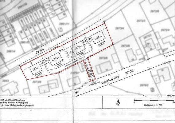
Das Grundstück befindet sich in exklusiver Wohnlage am Mutschachweg in Dinkelsbühl – einer der begehrtesten und zugleich idyllischsten Adressen der Stadt. Die Straße ist geprägt von großzügigen Grundstücken, gepflegter Wohnbebauung und einer angenehmen, gewachsenen Nachbarschaft. Die Umgebung verbindet ruhiges, naturnahes...
Das Grundstück
Energie & Heizung
Warum sehe ich diese Anzeige? – Du siehst diese Anzeige basierend auf Ihrer Navigation auf unserer Website und den Suchkriterien, die du verwendet hast.
Energieausweis: für diesen Gebäudetyp nicht notwendig
Details
Objektbeschreibung
Dieses außergewöhnliche Grundstück mit einer Gesamtfläche von ca. 3.279 m² befindet sich in bester Lage am Mutschachweg in Dinkelsbühl – einer der schönsten und begehrtesten Wohnstraßen der Stadt. Die ruhige, naturnahe Umgebung kombiniert auf ideale Weise Privatsphäre, Großzügigkeit und eine hervorragende Anbindung an die...
Ausstattung
* Grundstücksfläche ca. 3.279 m²
* Attraktive Bestlage am Mutschachweg in Dinkelsbühl
* Ruhige, hochwertige Wohnumgebung
* Aktuell nicht erschlossen
* Geschotterter Zufahrtsweg im Eigentum enthalten
* Positiver Vorbescheid des Bauamts
* Bebauung mit 4 Einfamilienhäusern genehmigungsfähig
* Projekt als...
Weitere Informationen
Gerne stellen wir Ihnen dieses besondere Grundstück bei einer persönlichen Besichtigung näher vor. Vor Ort erhalten Sie einen umfassenden Eindruck von der außergewöhnlichen Lage am Mutschachweg in Dinkelsbühl, der Großzügigkeit des Areals sowie den vielfältigen Bebauungsmöglichkeiten.
Im Rahmen eines...
Anbieter der Immobilie
Deutsche Strategie Beratung Pensionsmanagement GmbH
Gladiolenstr. 8, 74579 Fichtenau
Online-ID: 2ntsr5p
Referenznummer: 4883
Finde Angebote wie dieses
Hier geht es zu unserem Impressum, den Allgemeinen Geschäftsbedingungen, den Hinweisen zum Datenschutz und nutzungsbasierter Online-Werbung.