
STRECKER-OLENYI Industrie- & Gewerbeimmobilien
Herr Arno Strecker
072 ···
Nr. anzeigenPreise & Kosten
Provision für Käufer
3,57%
Lage
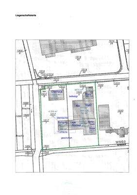
Markante Ecklage im gewachsenen Gewerbegebiet von Bornheim, direkt vis-a-vis dem Hauptsitz der Fa. Hornbach. Wenige Fahrminuten zur BAB A 65, bzw. B-10 und B-272
Die Industriefläche
Derzeitige Nutzung
vermietet
Details
Objektbeschreibung
Großes Eckgrundstück, bestehend aus 2 Flurstücken, mit 2 Zufahrungen und 3 langfristigen Mietern. Die Mietverträge haben eine fest vereinbarte Laufzeit zwischen Ende 2030 bis Ende 2031. Die Gesamtmietfläche beträgt ca. 3.864m² und erwirtschaftet ca. € 217.934,00 p.a. (einschließlich der Erträge einer PV-Anlage). Die Gebäude...
Weitere Informationen
Sonstiges
Die angegebenen Preise sind Nettopreise. Ein Energieausweis wird gerade vom Eigentümer erstellt. Wir reichen diesen nach, sobald er uns vorliegt.
Energiepass
Energieausweis wird bei Besichtigung vorgelegt.
Stichworte
Lagerfläche: 3.864,00 m², Gesamtfläche: 3.864,00 m², Bundesland...
Anbieter der Immobilie
STRECKER-OLENYI Industrie- & Gewerbeimmobilien
An der Tagweide 2, 76139 Karlsruhe
Online-ID: 2nmz85w
Referenznummer: 2025099
Finde Angebote wie dieses
Hier geht es zu unserem Impressum, den Allgemeinen Geschäftsbedingungen, den Hinweisen zum Datenschutz und nutzungsbasierter Online-Werbung.