
ohne-makler.net - Immobilien selbst vermarkten
Privat vom Eigentümer
Kontaktiere den Anbieter schriftlich, es ist keine Telefonnummer hinterlegt.
Preise & Kosten
Provision für Käufer
provisionsfrei
Lage
Erstklassige Makrolage - Wertsteigerungsgarant
- Nur 10 km südwestlich vom Leipziger Zentrum
- Direkter Anschluss an A38, A9 und A14
- Neue S-Bahn S6 seit Dezember 2025
- Barrierefreier Bahnhof, moderne ÖPNV-Vernetzung
Exzellente Mikrolage - Wohngebiet "Am See"
- Kleiberstraße, Markranstädt - sehr ruhige...
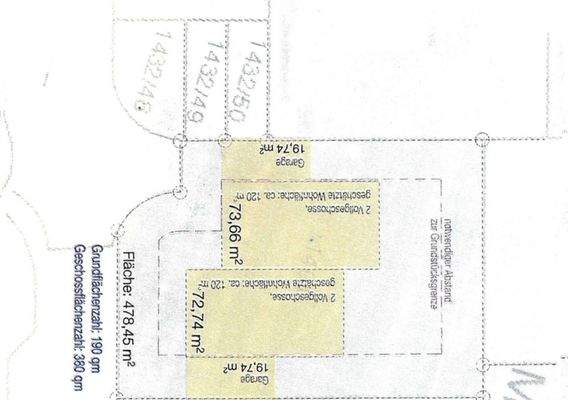
Das Grundstück
Details
Objektbeschreibung
SELTENE GELEGENHEIT - Leben und Wohnen in Seenähe - DIREKT VOM EIGENTÜMER OHNE MAKLER
Bauträgerfreies Grundstück Flurstück 1494 im gefragten Wohngebiet "Am See" in Markranstädt, Kleiberstraße, mit 478 m² (ca. 18,5x25,7). Ruhige, familienfreundliche Lage nahe Naherholung und mit ausgezeichneter Anbindung nach Leipzig...
Weitere Informationen
Sonstiges
Verkaufsansatz
Wir verfolgen einen selektiven Verkaufsansatz und bitten Interessenten um eine schriftliche Vorab-Information per E-Mail. Der Preis ist in gewissem Rahmen verhandelbar und hängt vom Bauvorhaben, Ihrem Finanzierungsstand und dem geplanten Zeitrahmen ab;
So funktioniert unser...
Anbieter der Immobilie
ohne-makler.net - Immobilien selbst vermarkten
Humboldtstr. 25 A, 21509 Glinde
Privat vom Eigentümer
Dein Ansprechpartner
Kontaktiere den Anbieter schriftlich, es ist keine Telefonnummer hinterlegt.
Online-ID: 2nmtk5x
Referenznummer: 391437
Finde Angebote wie dieses
Hier geht es zu unserem Impressum, den Allgemeinen Geschäftsbedingungen, den Hinweisen zum Datenschutz und nutzungsbasierter Online-Werbung.