
KAGO GmbH
Frau Dagmar Fleury-Erne
017 ···
Nr. anzeigenPreise & Kosten
Provision für Käufer
Bei Abschluss eines notariellen Kaufvertrages wird eine Provision in Höhe von 3,57% des Kaufpreises zur Zahlung fällig. Die Summe beinhaltet die ges. Mehrwertsteuer.
Das Grundstück
Details
Objektbeschreibung
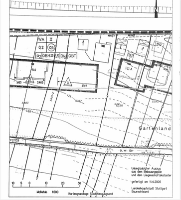
Das zu verkaufende Grundstück befindet sich in Stuttgart-Möhringen.
Es handelt sich um die Flurstücknummern 5397 mit ca. 1960 m2 und 5401/2 mit ca. 475 m2. Der Bebauungsplan Dornhalde splittet die Flächen in Bauland und Gartenland. Von der Gesamtfläche sind ca. 1153 m2 Bauland.
Bauland: 1.153 m² im...
Weitere Informationen
Sonstiges
Alle Angaben stammen vom Eigentümer. Wir können für deren Richtigkeit keine Gewähr übernehmen.
Anbieter der Immobilie
KAGO GmbH
Brunnenstr. 4, 89343 Jettingen-Scheppach
Online-ID: 2nk235n
Referenznummer: 134 (1/134)
Finde Angebote wie dieses
Hier geht es zu unserem Impressum, den Allgemeinen Geschäftsbedingungen, den Hinweisen zum Datenschutz und nutzungsbasierter Online-Werbung.