

Kreissparkasse Steinfurt Immobilien-Center
Herr Christian Freude
054 ···
Nr. anzeigenPreise & Kosten
Provision für Käufer
5,95 % inkl. MwSt.
Lage
Lengerich ist eine Mittelstadt in der Region Tecklenburger Land (Kreis Steinfurt). Mit rund 23.000 Einwohnern ist Lengerich eine der größten Städte im Kreis.
Zu Lengerich gehören insgesamt 12 Stadtteile. Die Stadt hat mit ihrer Lage direkt an der A1 eine hervorragende Infrastruktur und ein wirtschaftsfreundliches Klima...
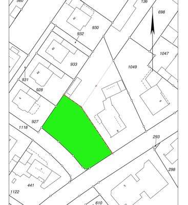
Das Grundstück
Details
Objektbeschreibung
Hier darf gebaut werden!
Auf diesem erschlossenen, vermessenen 723 m² großen Grundstück befindet sich eine Baulücke in dem Bebauungsplan der Stadt Lengerich.
Der Bebauungsplan (Nr.8) ist frei zugänglich und kann auf der Internetseite des Bauamtes der Stadt Lengerich eingesehen werden. (Link...
Weitere Informationen
Sonstiges
VERBRAUCHERINFO
1. Maklerleistung ist der Nachweis der Gelegenheit zum Abschluss eines Vertrages bzw. Vermittlung eines Vertrages über eine Immobilie gegen die Courtagezahlungspflicht des Kunden
2. Unternehmer,Anschrift,Beschwerdeadressat
LBS Immobilien GmbH NordWest, Himmelreichallee 40, 48149 Münster...
Anbieter der Immobilie

Online-ID: 2nhvy5k
Referenznummer: 9976-I
Finde Angebote wie dieses
Hier geht es zu unserem Impressum, den Allgemeinen Geschäftsbedingungen, den Hinweisen zum Datenschutz und nutzungsbasierter Online-Werbung.