
BERGISCHE BODEN PROJEKT GmbH
Herr Ulrich Lichtinghagen
016 ···
Nr. anzeigenPreise & Kosten
Provision für Käufer
provisionsfrei
Lage
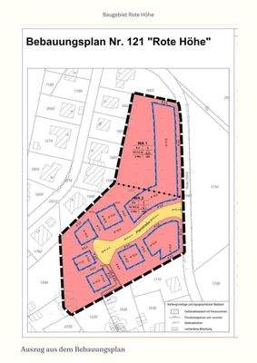
Weitere Angaben entnehmen Sie bitte dem Kurzexposee und dem Übersichtsplan, die sie unter "Dokumente" finden. Da die Grundstücke provisionsfrei ohne Makler-Zwischenschaltung veräußert werden, dürften Sie hier schon fast alle wesentlichen Informationen finden.
Bei evtl. verbleibenden Fragen: Gerne fragen!
Das Grundstück
Details
Objektbeschreibung
Im schönen Wipperfürth hat gerade die bauliche Erschließung des neuen Baugebiet 121 - Rote Höhe begonnen.
Sehr großzügig geschnittene Baugrundstücke bieten Bebauungsmöglichkeiten auf bis zu 1.000 Quadratmetern. Dies direkt auf dem östlichen Sonnenbalkon Kreuzbergs über dem Hönnige-Tal gelegen, dabei talseitig...
Dokumente
Anbieter der Immobilie
BERGISCHE BODEN PROJEKT GmbH
Hauptstraße 60, 51709 Marienheide
Online-ID: 2nflu5u
Referenznummer: Rote-Höhe-Grds-4-8-10
Finde Angebote wie dieses
Hier geht es zu unserem Impressum, den Allgemeinen Geschäftsbedingungen, den Hinweisen zum Datenschutz und nutzungsbasierter Online-Werbung.