

ImmoBest GmbH
Frau Aylin Weber
051 ···
Nr. anzeigenPreise & Kosten
Provision für Käufer
provisionsfrei
Lage
Die idyllische Gemeinde Sehnde, Heimat für über 24.000 Einwohnerinnen und Einwohner verteilt auf 15 Ortsteile, zeichnet sich durch ihr junges Durchschnittsalter aus, was ihr den Ruf als familienfreundliche Stadt einbringt. Diese Auszeichnung verdankt sie einer attraktiven Wohnumgebung, die mit einer umfassenden...
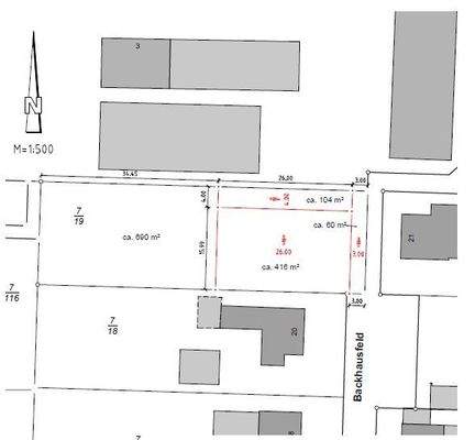
Das Grundstück
Details
Objektbeschreibung
Zum Verkauf steht ein attraktives, ca. 740 m² großes Baugrundstück in Sehnde-Rethmar. Das Besondere: Hier bauen Sie nicht in einem kahlen Neubaugebiet "auf der grünen Wiese", sondern in einem gewachsenen, liebevoll begrünten Wohngebiet. Das Grundstück liegt am Ende einer ruhigen Sackgasse (Backhausfeld), was ein Höchstmaß an...
Ausstattung
Grundstücksgröße: ca. 740 m² (Flurstück 7/19 Teilfläche).
Bebaubarkeit: Einzelhaus gemäß § 34 BauGB.
Maße: Zulässige Traufhöhe von 5,50 m und Firsthöhe bis zu 9,00 m.
Highlights: Großzügige Gartenfläche, geplante Garage/Carport und moderne Architektur mit Satteldach (35°-45°).
Weitere Informationen
Stichworte
Wohnfläche: 188,00 m², Anzahl der Badezimmer: 3, Bundesland: Niedersachsen
Anbieter der Immobilie

Online-ID: 2nf595q
Referenznummer: 1010AW
Finde Angebote wie dieses
Hier geht es zu unserem Impressum, den Allgemeinen Geschäftsbedingungen, den Hinweisen zum Datenschutz und nutzungsbasierter Online-Werbung.