
Marek Schramm Immobilien
Herr Ingolf Rüter
0 3 ···
Nr. anzeigenPreise & Kosten
zzgl. Nebenkosten
Provision für Mieter
Bitte beachte, das Angebot kann bei Vertragsabschluss die Zahlung einer Provision beinhalten. Weitere Informationen erhältst Du vom Anbieter.
Warum sehe ich diese Anzeige? – Du siehst diese Anzeige basierend auf Ihrer Navigation auf unserer Website und den Suchkriterien, die du verwendet hast.
Lage
Gehren liegt am Nordostrand des Thüringer Waldes etwa acht Kilometer östlich von Ilmenau. Südöstlich der Stadt beginnt bereits das Thüringer Schiefergebirge, während sich nördlich die Hügel des Paulinzellaer Buntsandsteinlandes erstrecken. Gehren liegt an der Mündung der Schobse in die Wohlrose, einem Nebenfluss der Ilm...
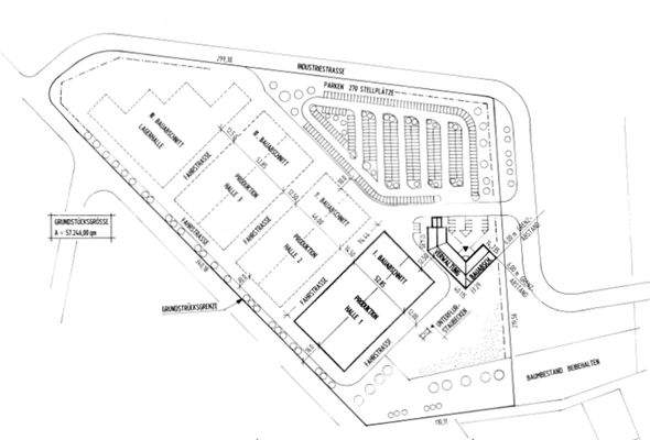
Die Industriefläche
Baujahr
1995
Bezug
ab 01.12.2023
Energie & Heizung
Warum sehe ich diese Anzeige? – Du siehst diese Anzeige basierend auf Ihrer Navigation auf unserer Website und den Suchkriterien, die du verwendet hast.
Weitere Energiedaten
Energieträger
Gas
Heizungsart
Zentralheizung
Details
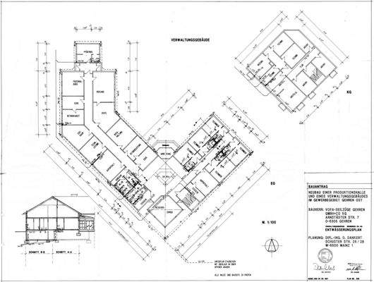
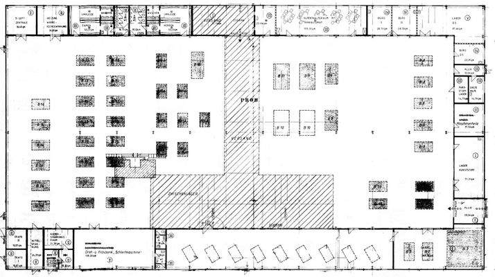
Objektbeschreibung
Kurzbeschreibung
Gewerbegebiet, große moderne Produktionshalle, ab 01.12.2023 frei, PKW-Stellplätze vorhanden, zusätzliche Büroflächen in seperaten Bürogebäude vorhanden, auch eine Anmietung von Teilfächen ist möglich
Objekt
Die moderne Produktionshalle in der Xavier-Vorbrüggen-Straße 8 im Ilmenauer Ortsteil...
Ausstattung
sehr gute moderne Ausstattung, Wachschutz, Büros Fußbodenheizung, u.v.a.m.
2018 / 2019 modernisiert: neuer Hallenboden, neue EDV-Anlage, teilweise neue Elektrik, Malerarbeiten
Preisinformation
Nettokaltmiete: 14.500,00 EUR
Weitere Informationen
Sonstiges
Baujahr: 1995
Befeuerung/Energieträger: Gas
Heizungsart: Zentralheizung
Autobahn
A 71 = 10 km
Bundes-/Landesstraßen
B 88 / B 4 / B 87 = anliegend / 8 km /8 km
Gleisanschluss Nein
Güterumschlag
Ilmenau = 10 km...
Anbieter der Immobilie
Marek Schramm Immobilien
Schwanitzstr. 7, 98693 Ilmenau
Online-ID: 2n5cc5h
Referenznummer: 14804
Finde Angebote wie dieses
Hier geht es zu unserem Impressum, den Allgemeinen Geschäftsbedingungen, den Hinweisen zum Datenschutz und nutzungsbasierter Online-Werbung.