Immobilien Inoglu Bau GmbH

Herr Bernd Rees

Provisionsfrei ! Attraktiv gelegenes Grundstück für Wohnbebauung !

€ 466.990
Kaufpreis
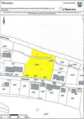
5 494 m²
Grundstücksfl. ca.

Der Anbieter dieses Objekts hat gegenüber der AVIV Germany GmbH als Betreiber dieses Online-Marktplatzes erklärt, nicht als Unternehmer im Sinne des § 1 KSchG zu handeln. Die im Verbraucherschutzrecht der Union verankerten Verbraucherrechte (insbesondere Informationspflichten und Rücktritts- bzw. Widerrufsrechte) finden auf den Vertrag zwischen dem Anbieter des Objekts und Ihnen (dem Interessenten) keine Anwendung.

Gewerblicher Anbieter

Der Anbieter dieses Objekts hat gegenüber der AVIV Germany GmbH als Betreiber dieses Online-Marktplatzes erklärt, als Unternehmer im Sinne des § 1 KSchG zu handeln.

AdresseStraße nicht freigegeben
58762 Altena 
Auf Karte ansehen

Preise & Kosten

Kaufpreis € 466.990

Provision für Käufer

Bitte beachte, das Angebot kann bei Vertragsabschluss die Zahlung einer Provision beinhalten. Weitere Informationen erhältst Du vom Anbieter.

Lage

Die Stadt Altena mit ca.16.500 Einwohnern liegt ca.14 km südwestlich von Iserlohn, ca. 40 km südöstlich von Dortmund und ca. 64 km östlich von Wuppertal. Durch das Altenaer Stadtgebiet verläuft die Bundesstraße 236. Mit den Anschlussstellen Lüdenscheid und Lüdenscheid-Nord ist Altena an die A 45 angebunden, die A 46 ist ca...

Mehr anzeigen

Das Grundstück

  • bebaubar nach §34 Nachbarbebauung

Details

Objektbeschreibung

Das Grundstück liegt nordöstlich des Zentrums von Altena. Die Nachbarschaft besteht aus Wohnhäusern in offener Bauweise, kleineren Gewerbebetrieben und Waldflächen. Alle Geschäfte zur Deckung des täglichen Bedarfs, Ärzte, Apotheken, Banken und Restaurants befinden sich in ca. 5 km Entfernung. Der Bahnhof Altena mit Verbindung...

Mehr anzeigen

Weitere Informationen

Sonstiges
Alle Angaben sind ohne Gewähr und basieren ausschließlich auf Informationen, die uns von unserem Auftraggeber zur Verfügung gestellt wurden. Wir übernehmen keine Gewähr für die Vollständigkeit, Richtigkeit und Aktualität dieser Angaben. Die entstehenden Nebenkosten sind vom Käufer zu tragen. Im Übrigen gelten...

Mehr anzeigen

Anbieter der Immobilie

Immobilien Inoglu Bau GmbH

Eisenstraße 48, 65428 Rüsselsheim

user

Herr Bernd Rees

Dein Ansprechpartner

Anbieter-Website Anbieter-Profil Anbieter-Impressum

Online-ID: 2n57k5q

Referenznummer: 5359#CKK4y

Finde Angebote wie dieses

imageimageimage

Hier geht es zu unserem Impressum, den Allgemeinen Geschäftsbedingungen, den Hinweisen zum Datenschutz und nutzungsbasierter Online-Werbung.