
RE/MAX XPERT Bayreuth-Hochfranken
Herr Marcel Puchta
004 ···
Nr. anzeigenPreise & Kosten
Provision für Käufer
3,57 % inkl. ges. USt.
vom notariell beurkundeten Kaufpreis inkl. MwSt.
Lage
Das Grundstück liegt in einer ruhigen, sonnigen Ortslage von Emtmannsberg. Die zentrale Lage kombiniert kurze Wege innerhalb des Ortes mit einem angenehmen, naturnahen Wohnumfeld.
Besonderheiten
-Attraktive Baulücke in Ortsmitte
-Leichte Hanglage - ideal für moderne Architektur
-Bestehende, unterkellerte...
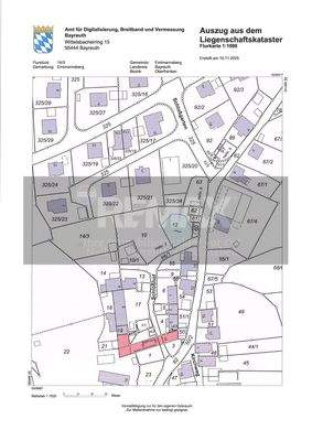
Das Grundstück
Details
Objektbeschreibung
Zum Verkauf steht eine attraktive Baulücke in ruhiger und sonniger Ortslage von Emtmannsberg. Das Grundstück befindet sich in der Ortsmitte und überzeugt durch seine angenehme Hanglage, die sich ideal für eine Bebauung mit Einliegerwohnung eignet.
Ein alter Baumbestand ist vorhanden und kann größtenteils erhalten...
Ausstattung
-Bebauung nach § 34 Baugesetzbuch (Bauen im Innenbereich)
-Empfohlene Nutzung: Einfamilienhaus, auch mit Einliegerwohnung möglich
-Kein Abriss erforderlich
-Keine Baugenehmigung vorhanden, Bebauung jedoch kurzfristig realisierbar
Preisinformation
2 Garagenstellplätze, Kaufpreis je: 15.000,00 EUR
Weitere Informationen
Sonstiges
Sie möchten mehr über das hier angebotene Objekt erfahren oder haben weitere Fragen?
Kontaktieren Sie uns bitte über das Anfrageformular!
Wenn Sie uns schriftlich kontaktieren, bitten wir um Ihre vollständigen Kontaktdaten (Name, Adresse, Telefonnummer, E-Mail-Adresse).
Menschen im...
Anbieter der Immobilie
Online-ID: 2n4vw5l
Referenznummer: 1075-80-MP-26
Finde Angebote wie dieses
Hier geht es zu unserem Impressum, den Allgemeinen Geschäftsbedingungen, den Hinweisen zum Datenschutz und nutzungsbasierter Online-Werbung.