
heimmobilien
Frau Karin Wagner
+49 ···
Nr. anzeigenPreise & Kosten
Provision für Käufer
Käuferprovision: 3,57 % inkl. MwSt.
Lage
Grafrath, eine idyllische Gemeinde im oberbayerischen Landkreis Fürstenfeldbruck, liegt etwa 35 Kilometer westlich von München. Umgeben von der malerischen Natur des Ampermooses sowie einer Vielzahl von Wäldern und Wiesen, bietet der Ort eine attraktive Mischung aus ländlichem Charme und guter Anbindung an die Metropolregion...
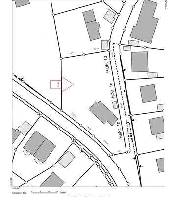
Das Grundstück
Details
Objektbeschreibung
Zum Verkauf steht ein attraktives Baugrundstück mit Altbestand in ruhiger und gewachsener Wohnlage von Grafrath-Wildenroth mit einer Grundstücksgröße von 1.575 m². Dieses schöne und idyllisch gelegene Grundstück befindet sich in einem Wohngebiet mit vorwiegend freistehender Einfamilien- und Doppelhausbebauung und bietet...
Weitere Informationen
Sonstiges
Energieausweis für das Wohngebäude: Bedarfsausweis, gültig bis 15.02.2036
EAB: 167,58 kWh/(m²*a), Nachtspeicheröfen
Die Käuferprovision beträgt 3,57 % vom Kaufpreis. Der Immobilienmakler hat einen provisionspflichtigen Maklervertrag mit den Verkäufern in gleicher Höhe abgeschlossen.
Um Ihre...
Anbieter der Immobilie

heimmobilien
Online-ID: 2n2dm5n
Referenznummer: 26.253
Finde Angebote wie dieses
Hier geht es zu unserem Impressum, den Allgemeinen Geschäftsbedingungen, den Hinweisen zum Datenschutz und nutzungsbasierter Online-Werbung.