

REMAX Immobilien / BSD Immobilien GmbH
Herr Thomas Dammers
+49 ···
Nr. anzeigenPreise & Kosten
Provision für Käufer
3,57 % inkl. gesetzl. MwST
Lage
Die Immobilie befindet sich in äußerst ruhiger Wohnlage im beschaulichen Schottheide, einem Ortsteil der Gemeinde Kranenburg.
Die Entfernung bis Kranenburg beträgt 3,7 km, hier finden Sie Discounter, Kindergärten, Schulen, Banken, Ärzte und Apotheken.
Kranenburg liegt am unteren Niederrhein im Nordwesten von...
Die Immobilie
Zu diesem Angebot wurden vom Anbieter keine weiteren Daten hinterlegt. Für weitere Informationen bitte den Anbieter kontaktieren.
Nach Informationen fragenDetails
Objektbeschreibung
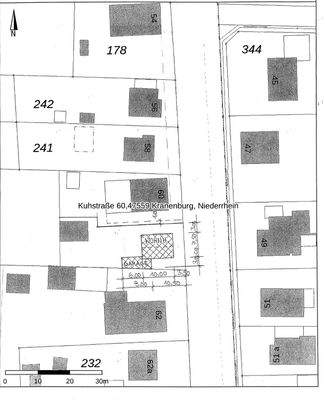
Hier offerieren wir Ihnen ein Grundstück in idyllischer Wohnlage in Schottheide, einem Ortsteil der Gemeinde Kranenburg.
Das Grundstück weist eine Fläche von ca. 694 m² auf.
Es verfügt im Hintergrund über eine gemauerte Scheune.
Dieses Grundstück ist Bauland, eine Bebauung mit einem Einfamilienhaus ist, nach...
Weitere Informationen
Stichworte
Bundesland: Nordrhein-Westfalen
Anbieter der Immobilie
REMAX Immobilien / BSD Immobilien GmbH
Opschlag 7-9, 47533 Kleve

Online-ID: 2mzec5y
Referenznummer: 1051-179-KUS60-TDIH
Finde Angebote wie dieses
Hier geht es zu unserem Impressum, den Allgemeinen Geschäftsbedingungen, den Hinweisen zum Datenschutz und nutzungsbasierter Online-Werbung.