

FALC Immobilien Landkreis Waldeck-Frankenberg
Herr Jens Schulz
080 ···
Nr. anzeigenPreise & Kosten
Provision für Käufer
provisionsfrei
Lage
Das Grundstück befindet sich in Calden, einem charmanten Ort nordwestlich von Kassel in Nordhessen.
Die naturnahe Umgebung bietet gleichzeitig eine gute Erreichbarkeit aller wichtigen Einrichtungen des täglichen Bedarfs. Einkaufsmöglichkeiten, Supermärkte, Apotheke sowie Kindergarten, Grundschule und Freizeitangebote...
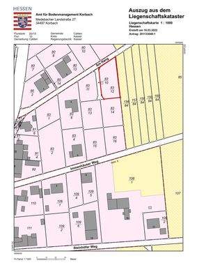
Das Grundstück
Details
Objektbeschreibung
Hier kann Ihr Traumhaus entstehen!
Dieses 753 m² große Baugrundstück in leichter Hanglage befindet sich in Calden, nur ca. 10 km von Kassel entfernt. Auf diesem Grundstück können Sie Ihren Traum vom Eigenheim nach Ihren eigenen Vorstellungen verwirklichen oder Sie legen den Grundstein für eine neue Kapitalanlage...
Weitere Informationen
Sonstiges
Die Objektbeschreibung beruht ganz oder zum Teil auf Angaben des Eigentümers. Für die Richtigkeit oder Vollständigkeit übernehmen wir keine Gewähr.
Bei der Erstellung des Exposés und der Bilder wurde teilweise KI-Technik verwendet.
Beim ausgewiesenen Preis handelt es sich um den Angebotspreis, der...
Dokumente
Anbieter der Immobilie
FALC Immobilien Landkreis Waldeck-Frankenberg
Brunnenallee 32-34, 34537 Bad Wildungen

Online-ID: 2mt9z58
Referenznummer: FALC-JeS-76978
Finde Angebote wie dieses
Hier geht es zu unserem Impressum, den Allgemeinen Geschäftsbedingungen, den Hinweisen zum Datenschutz und nutzungsbasierter Online-Werbung.