
Schneide GmbH
Herr Benjamin Timmann
004 ···
Nr. anzeigenPreise & Kosten
Provision für Käufer
7,14 % des Kaufpreises inkl. 19 % Ust.
Lage
Der Gammer Weg befindet sich im Hamburger Stadtteil Bergedorf-Altengamme, einem der grünsten und zugleich urban geprägten Bezirke der Hansestadt. Die Straße liegt in einem ruhigen, familienfreundlichen Wohngebiet mit überwiegend gepflegten Einfamilien- und Reihenhäusern. Die Umgebung zeichnet sich durch eine angenehme...
Das Grundstück
Details
Objektbeschreibung
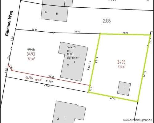
Im Verkäuferauftrag möchten wir Ihnen dieses ruhig gelegene Baugrundstück (Im Lageplan grün markiert und mit Flurstück 3495 bezeichnet) in Hamburg-Altengamme zum Kauf anbieten.
Das Baugrundstück, welches derzeit mit einer Doppel-Garage bebaut ist, befindet sich direkt angrenzend zu weitläufigen Flächen inmitten der grünen...
Weitere Informationen
Sonstiges
. Die Straße "Gammer Weg" ist endgültig hergestellt worden. Ein Anschluss an die öffentliche Versorgung für Strom, Gas, Wasser, Abwasser und Telefon ist möglich.
. Das Grundstück ist voll erschlossen. Etwaige Sielbaubeiträge sind weder offen noch verrentet.
. Die Kosten für den Abriss der Garage...
Anbieter der Immobilie
Schneide GmbH
Kirchwerder Landweg 1, 21037 Hamburg
Online-ID: 2m93w52
Referenznummer: JS1943
Finde Angebote wie dieses
Hier geht es zu unserem Impressum, den Allgemeinen Geschäftsbedingungen, den Hinweisen zum Datenschutz und nutzungsbasierter Online-Werbung.