Immobilien Mitzam GbR

Herr Claudius Mitzam

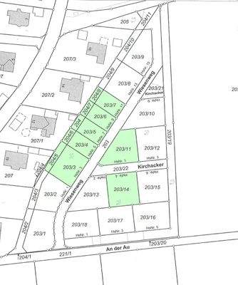
Neubaugebiet mit 17 Bauplätzen für EFH oder DH Bebauung in Ortsrandlage von Kipfenberg/Schelldorf

auf Anfrage
Kaufpreis
k.A.
Grundstücksfl.

Der Anbieter dieses Objekts hat gegenüber der AVIV Germany GmbH als Betreiber dieses Online-Marktplatzes erklärt, nicht als Unternehmer im Sinne des § 1 KSchG zu handeln. Die im Verbraucherschutzrecht der Union verankerten Verbraucherrechte (insbesondere Informationspflichten und Rücktritts- bzw. Widerrufsrechte) finden auf den Vertrag zwischen dem Anbieter des Objekts und Ihnen (dem Interessenten) keine Anwendung.

Provisionsfrei
Gewerblicher Anbieter

Der Anbieter dieses Objekts hat gegenüber der AVIV Germany GmbH als Betreiber dieses Online-Marktplatzes erklärt, als Unternehmer im Sinne des § 1 KSchG zu handeln.

AdresseAn der Au
85110 Kipfenberg 
(Schelldorf)
Auf Karte ansehen

Preise & Kosten

Kaufpreis auf Anfrage

Provision für Käufer

provisionsfrei

Lage

1A-Lage

Das Neubaugebiet befindet sich in sonniger, ruhiger und verkehrsgünstiger Ortsrandlage von Schelldorf.

Das Grundstück

  • teilweise erschlossen

Details

Objektbeschreibung

Fakten:
- Provisionsfrei für den Käufer.
- Ein Bebauungsplan liegt vor!
- Allgemeines Wohngebiet (WA).
- Grundstücksgrößen von 309 qm bis 624 m² (erschlossen).
- Kaufpreise ab 118.975,-- EUR bis 240.240,-- EUR
- Bebaubar mit Einfamilien- oder Doppelhäusern.
- GRZ 0,4
- GFZ 0,7
- Es besteht eine...

Mehr anzeigen

Weitere Informationen

Standort
Schelldorf:
Ein Ortsteil der Gemeinde Kipfenberg (8 km) im bayerischen Landkreis Eichstätt, der in der Nähe von Ingolstadt (15 km) und im Naturpark Altmühltal liegt.
Die Einwohnerzahl beträgt aktuell ca. 680.

Der örtliche Kindergarten und eine Grundschule unterstreichen zudem...

Mehr anzeigen

Anbieter der Immobilie

Partner

Immobilien Mitzam GbR

im Durchschnitt  4,70  Sterne
(bei 61 Bewertungen)

Ingolstädter Str. 18, 92339 Beilngries

user

Herr Claudius Mitzam

Dein Ansprechpartner

Anbieter-Website Anbieter-Profil Anbieter-Impressum

Online-ID: 2lwcn5y

Referenznummer: 0001583

Finde Angebote wie dieses

imageimageimage

Hier geht es zu unserem Impressum, den Allgemeinen Geschäftsbedingungen, den Hinweisen zum Datenschutz und nutzungsbasierter Online-Werbung.