
STRECKER-OLENYI Industrie- & Gewerbeimmobilien
Herr Arno Strecker
072 ···
Nr. anzeigenPreise & Kosten
Provision für Käufer
provisionsfrei
Lage
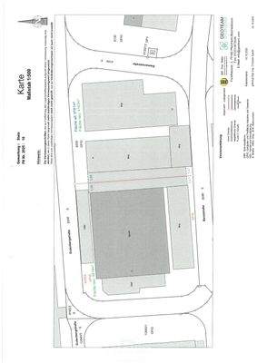
Die Liegenschaft befindet sich in Königsbach-Stein im Gewerbegebiet "Mitteltal" des Ortsteil Stein. Die L611 bzw. L570 sind schnell und bequem erreichbar. Pforzheim ist ca. 10 km Luflinie entfernt, Karlsruhe ca. 15 km.
Die Industriefläche
Kategorie
Lagerhalle
Details
Objektbeschreibung
Diese vielseitige Gewerbeliegenschaft überzeugt durch ihre funktionale Flächenstruktur, ebenerdige Andienung und flexible Nutzungsmöglichkeiten. Auf insgesamt rund 3.157 m² Hallenfläche präsentiert sich ein hochwertiges Ensemble mehrerer, zusammenhängender Hallenbereiche (rot umrandet) auf einem insgesamt 4.618 m² großen...
Weitere Informationen
Energiepass
Energieausweis wird bei Besichtigung vorgelegt.
Stichworte
Lagerfläche: 3.157,00 m², Gesamtfläche: 3.157,00 m², Bundesland: Baden-Württemberg
Anbieter der Immobilie
STRECKER-OLENYI Industrie- & Gewerbeimmobilien
An der Tagweide 2, 76139 Karlsruhe
Online-ID: 2kwjj5r
Referenznummer: 2025071
Finde Angebote wie dieses
Hier geht es zu unserem Impressum, den Allgemeinen Geschäftsbedingungen, den Hinweisen zum Datenschutz und nutzungsbasierter Online-Werbung.