VFV Servicekontor am Schloßpark Charlottenburg GmbH

Herr Gesa Lindenberg

Baugrundstück in 15806 Zossen / OT Dabendorf

€ 130.000
Kaufpreis
825 m²
Grundstücksfl. ca.

Der Anbieter dieses Objekts hat gegenüber der AVIV Germany GmbH als Betreiber dieses Online-Marktplatzes erklärt, nicht als Unternehmer im Sinne des § 1 KSchG zu handeln. Die im Verbraucherschutzrecht der Union verankerten Verbraucherrechte (insbesondere Informationspflichten und Rücktritts- bzw. Widerrufsrechte) finden auf den Vertrag zwischen dem Anbieter des Objekts und Ihnen (dem Interessenten) keine Anwendung.

Gewerblicher Anbieter

Der Anbieter dieses Objekts hat gegenüber der AVIV Germany GmbH als Betreiber dieses Online-Marktplatzes erklärt, als Unternehmer im Sinne des § 1 KSchG zu handeln.

AdresseGlienicker Straße 56
15806 Zossen 
(Dabendorf)
Auf Karte ansehen

Preise & Kosten

Kaufpreis € 130.000

Provision für Käufer

7,14 % incl. MwSt. vom Kaufpreis

Lage

Dabendorf liegt im Landkreis Teltow-Fläming und ist ein Ortsteil der Kleinstadt Zossen (ca. 21.000 Einwohner). Bis zur südlichen Stadtgrenze der Bundeshauptstadt Berlin sind ca. 20 km. Über die Autobahn A10, Berliner Ring, Abfahrt Rangsdorf erreicht man nach 10 km Dabendorf. Über die Regionalbahnhöfe Dabendorf und Zossen ist...

Mehr anzeigen

Das Grundstück

  • unerschlossen

Details

Objektbeschreibung

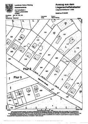
Das Baugrundstück liegt in einer gewachsenen Wohngegend, die überwiegend aus Einfamilienhäusern besteht. Aufgrund der ursprünglichen Gesamtgröße von 1503 m², erfolgte die Aufteilung des Grundstückes in zwei Teilgrundstücke, Flst.392, Flst.393, die nach §34 BGB bebaut werden können,siehe Lageplan. Das strassenseitige...

Mehr anzeigen

Weitere Informationen

Besichtigungstermine
nach Vereinbarung


Weitere Informationen
Geldwäsche:
Unser Immobilienunternehmen ist nach §2, Absatz 1, Nr. 14, §4, Absatz 6+11, Absatz 1,2 Geldwäschegesetz (GwG), verpflichtet mit der Anbahnung einer Geschäftsbeziehgung die Identität des Vertragspartners festzustellen und zu überprüfen...

Mehr anzeigen

Anbieter der Immobilie

VFV Servicekontor am Schloßpark Charlottenburg GmbH

Burgemeisterstraße 32, 12103 Berlin

user

Herr Gesa Lindenberg

Dein Ansprechpartner

Anbieter-Profil Anbieter-Impressum

Online-ID: 2kvwe5u

Referenznummer: 2025002

Finde Angebote wie dieses

imageimageimage

Hier geht es zu unserem Impressum, den Allgemeinen Geschäftsbedingungen, den Hinweisen zum Datenschutz und nutzungsbasierter Online-Werbung.