

Borchert Immobilien GmbH
Herr Dennis Borchert
041 ···
Nr. anzeigenPreise & Kosten
Provision für Käufer
provisionsfrei
Lage
Das Grundstück befindet sich in einer verkehrsberuhigten Straße von Prisdorf. In unmittelbarer Nachbarschaft ist die Freiwillige Feuerwehr ansässig sowie das Gemeindezentrum und ein Kindergarten.
Prisdorf ist eine Gemeinde im Kreis Pinneberg vor den Toren Hamburgs an der Landstraße 107 zwischen Pinneberg und Tornesch...
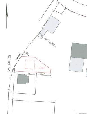
Das Grundstück
Details
Objektbeschreibung
Dieses herrliche und ca. 855 ² große Baugrundstück (Flurstück Nr. 860, 861 und 846) liegt in einer Nebenstraße von Prisdorf, einem beliebten Wohnort des Kreises Pinnebergs.
Die Bebauung kann nach § 34 "Nachbarschaftsbebauung" voraussichtlich mit einem Einfamilienhaus erfolgen. Eine Bauvoranfrage dafür liegt in...
Ausstattung
- Flurstück Nr. 860, 861 846 insgesamt ca. 855 m²
- kein einzelner Abverkauf der Flurstücke
- Bebaubar nach §34 Nachbarschaftsbebauung
- Voraussichtlich bebaubar mit einem EFH oder DHH
Weitere Informationen
Sonstiges
Die Leitungspläne für Gas, Wasser und Strom und zur Entwässerung liegen vor und können gern abgefordert werden. Die Erschließungskosten sind vom Käufer zu tragen.
Hinweise seitens des Kreisbauamtes:
In der Straße befindet sich keine öffentliche Kanalisation für die Niederschlagswasserentsorgung. Auf dem...
Anbieter der Immobilie

Online-ID: 2gzay58
Referenznummer: VI-Nr.3053
Finde Angebote wie dieses
Hier geht es zu unserem Impressum, den Allgemeinen Geschäftsbedingungen, den Hinweisen zum Datenschutz und nutzungsbasierter Online-Werbung.