
Immotec Investment & Beteiligungs GmbH
Herr .Tilo Kalisch
017 ···
Nr. anzeigenPreise & Kosten
Provision für Käufer
provisionsfrei
Lage
Die Berg- und Rosenstadt Sangerhausen liegt im landschaftlich reizvollen, südlichen Harzvorland in Sachsen- Anhalt, am Fuße des Kyffhäusergebirges, die Hauptstadt ist Magdeburg.
Sangerhausen ist strukturell sehr gut angebunden, Direktverbindungen über die A 38 und A 71 sichern Ihnen schnelle Autobahnverbindungen nach...
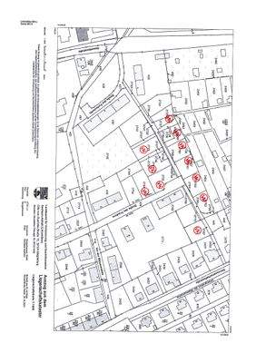
Das Grundstück
Energie & Heizung
Warum sehe ich diese Anzeige? – Du siehst diese Anzeige basierend auf Ihrer Navigation auf unserer Website und den Suchkriterien, die du verwendet hast.
Energieausweis: für diesen Gebäudetyp nicht notwendig
Details
Objektbeschreibung
Wir bieten Ihnen in der Stadt Sangerhausen, im landschaftlich, reizvollen, südlichen Harzvorland in Sachsen-Anhalt, vollerschlossene, bauträgerfreie Grundstücke zur individuellen Bebauung an, wovon bereits 12 Baugrundstücke verkauft sind, weitere 2 befinden sich in Reservierung, noch haben Sie die Wahl, holen Sie sich einfach...
Anbieter der Immobilie
Immotec Investment & Beteiligungs GmbH
Am Königsstuhl 8, 06556 Artern
Online-ID: 2dyce55
Finde Angebote wie dieses
Hier geht es zu unserem Impressum, den Allgemeinen Geschäftsbedingungen, den Hinweisen zum Datenschutz und nutzungsbasierter Online-Werbung.