

Suprimmo AG
Frau Adriana Nikolova
004 ···
Nr. anzeigenPreise & Kosten
Provision für Käufer
Bitte beachte, das Angebot kann bei Vertragsabschluss die Zahlung einer Provision beinhalten. Weitere Informationen erhältst Du vom Anbieter.
Das Grundstück
Kategorie
Gewerbe-Grundstück
Details
Weitere Informationen
Sonstiges
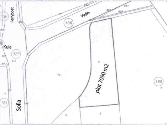
Großes, für Investitionen geeignetes Grundstück neben dem "Road Junction Tower", einer neu errichteten Überführung an der internationalen Straße E 79, die einen konfliktfreien Durchgang entlang der Ringstraße der Stadt Vidin in Richtung Donaubrücke - 2 bei Vidin - Calafat ermöglicht. Die Liegenschaft befindet...
Anbieter der Immobilie

Online-ID: 26tqg5z
Referenznummer: IMW-21388
Finde Angebote wie dieses
Hier geht es zu unserem Impressum, den Allgemeinen Geschäftsbedingungen, den Hinweisen zum Datenschutz und nutzungsbasierter Online-Werbung.